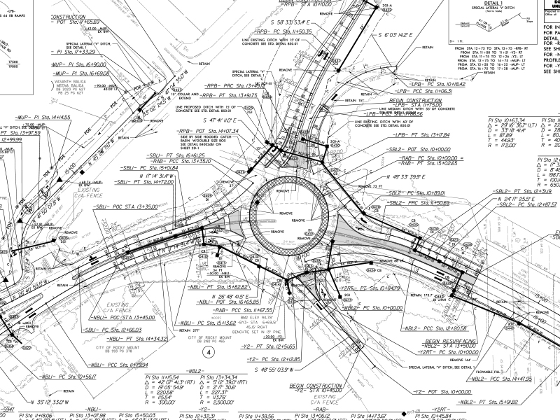
We are leading the engineering design for a roundabout at US 64 EB ramps and Battle Park Lane on NC 43/NC 48 (Benvenue Road). This project also includes the design of a multi-use path on Stonewall Drive that will connect the River Falls neighborhood to an existing greenway system.
Summit is providing all roadway design, hydraulic design, erosion control plans, TMP/PMP design, signing plans, geotechnical engineering, utility coordination plans, and design project management for the project. Three Oaks Engineering is working as a sub-consultant on PDEA planning. The preliminary engineering design is complete.



