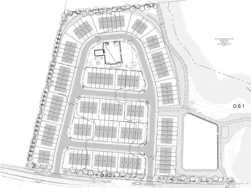
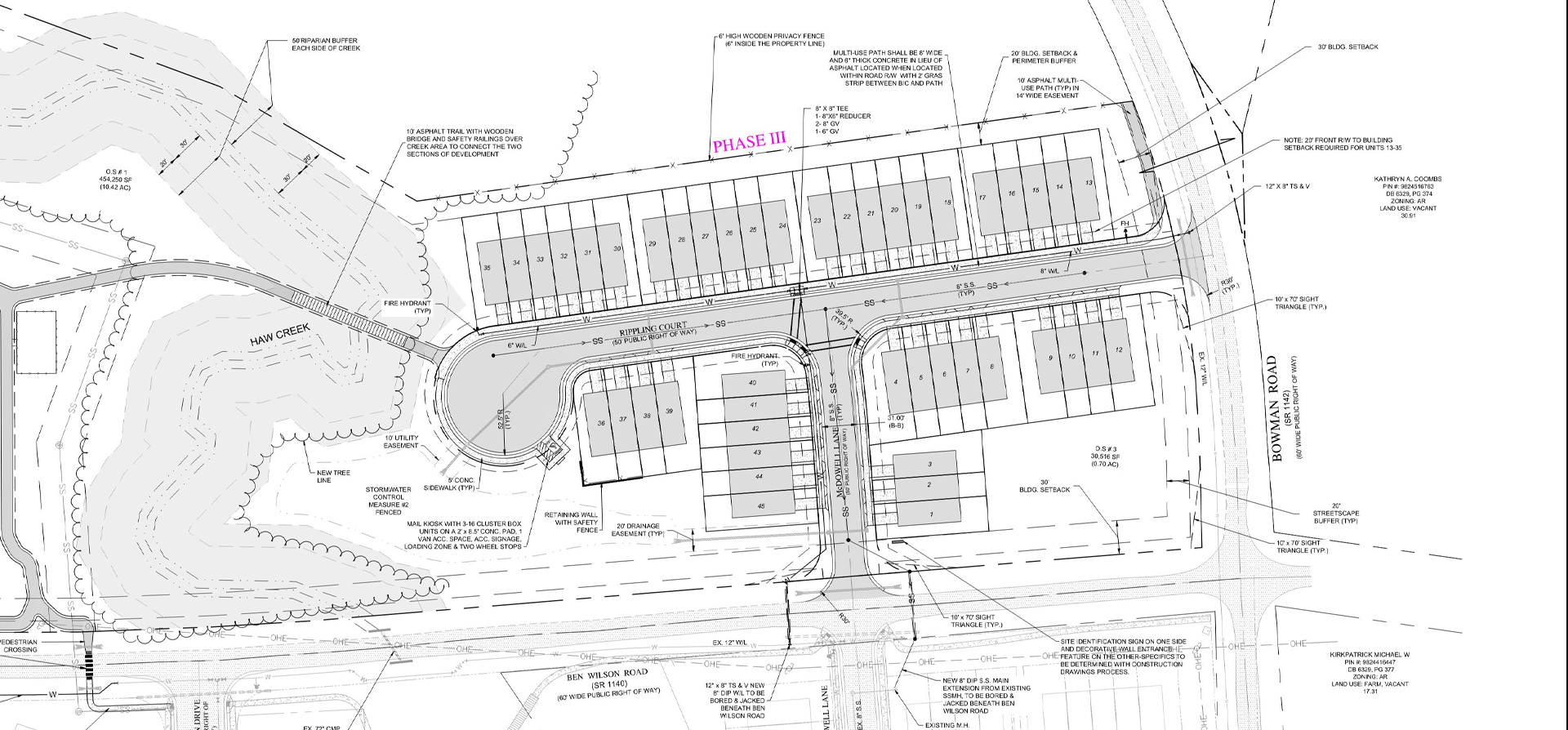
Our team is providing surveying and civil/site design services for the Meadowstone Townhomes Subdivision located in Orange County, NC. This development will include approximately 168 townhouses across approximately 25 acres.
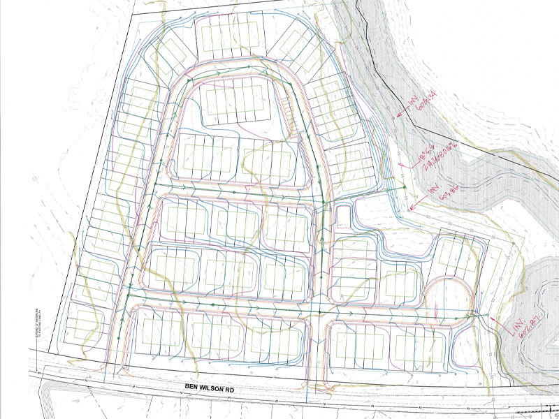
The design surveying services that our team will complete include a boundary survey, an annexation plat, and a topographic survey. The topographic survey will cover utility locations, including pipe size, material, and inverts. Our team will also prepare the Annexation Petition.
The design development and site plan services that our team is completing include design drawings and a site plan layout. This layout features utilities, outdoor lighting, landscaping, stormwater management, grading, soil and erosion control, drainage facilities, landscape plan, and trash collection. We will also prepare a stormwater management plan per the Phase II Stormwater Ordinance of the City of Mebane.
Finally, our team will prepare the required construction plan drawings for final approval by the City of Mebane.


